Tamaqua Borough workers recently painted new traffic markings on the westbound side of East Broad Street that prevent a second lane of traffic from turning onto North Greenwood Street. Westbound traffic can still turn north onto North Greenwood Street, just not from the prior two-lanes people have been so accustom to for years. The lines were painted to conform with current PennDOT regulations following bridge repairs last year.
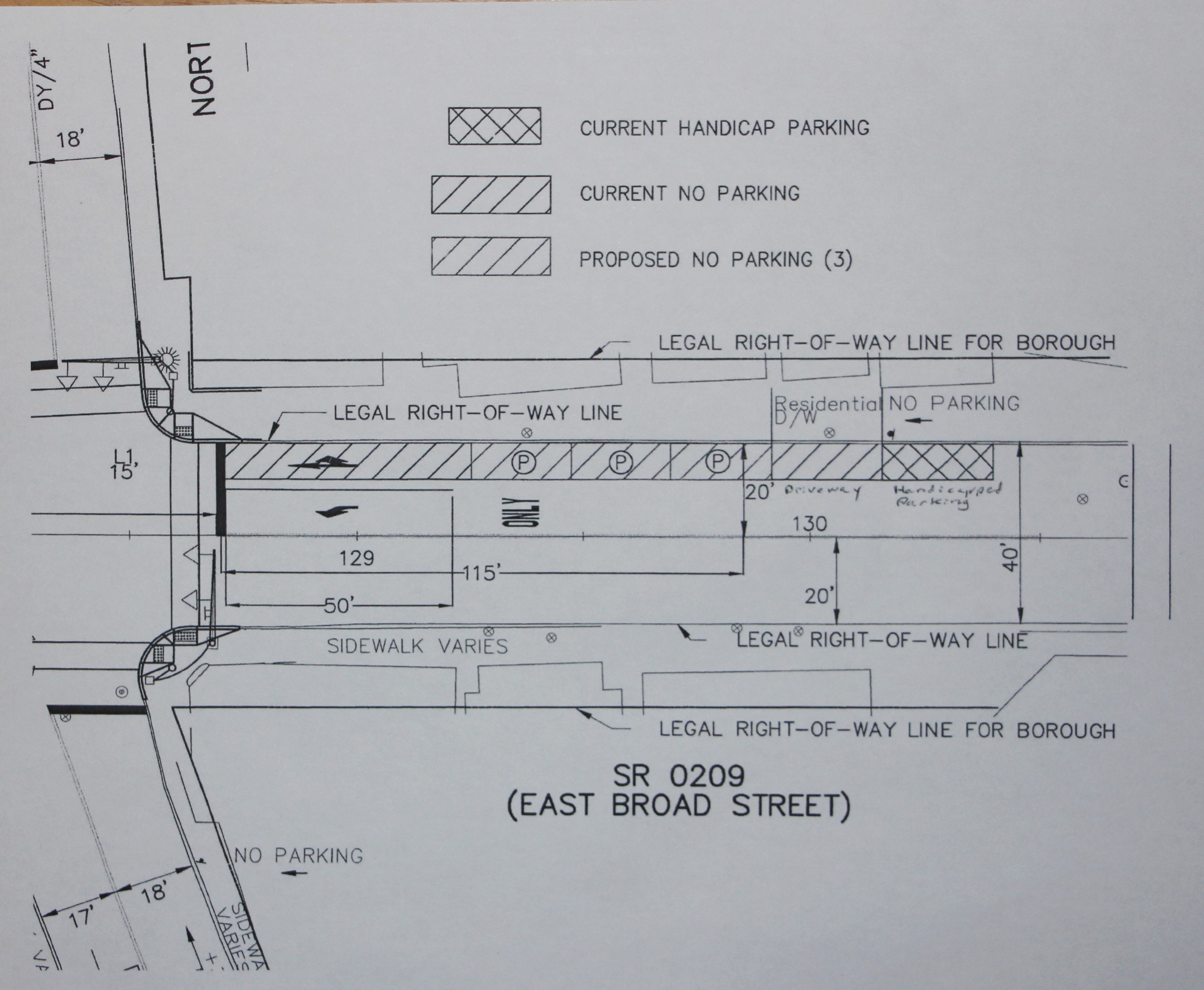
A few borough council members brought up the idea of allowing a turning lane, but that would have resulted in the loss of three adjacent parking spaces on the westbound side of East Broad Street. Click HERE to view the proposed diagram plan. In addition, council made public announcements about the change during their public meetings over the past few months.
Councilmen Justin Startzel said on Facebook in January, “If Tamaqua wants to have a right turning lane on Broad Street to Greenwood. We would have to eliminate three parking spaces. Not that I’m for eliminating anyone’s parking spaces, but I am for the safety and wellbeing of anyone who is traveling in a motor vehicle. Tamaqua and its travelers that pass through Tamaqua have always known it to be a right turning lane. And as you know, right now because of PennDOT it isn’t.
Removing three parking spots would allow one handicapped parking spot and one original parking spot. Also allowing the right lane to be a turning lane and allowing traffic to be stationed in both lanes a further distance, deterring (in my opinion) any bigger safety issues.
Again I’m not a fan of taking anyone’s parking spaces away. But with there being a business there with off street parking, and two houses that are empty. I would make the motion to remove those parking spaces and allow the right turn to be there.
Your opinions please?”
(Editor’s Note: In the last few months, only a small handful of residents attended the public council meetings. Only 1 resident attended the last two meetings.)
The borough eventually voted no on the idea, resulting in the painted lines.
TamaquaArea.com Video:
TamaquaArea.com Photos:
